
Noticentro
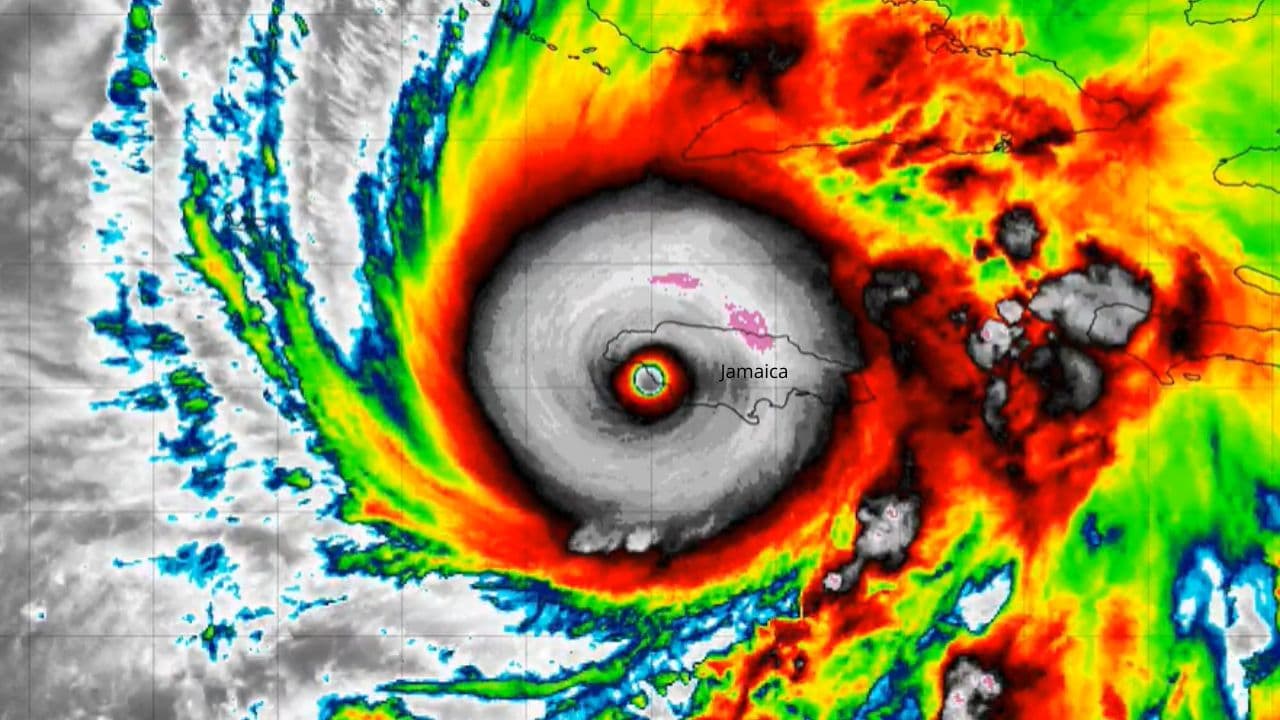
El huracán Melissa tocó tierra en Jamaica como un ciclón categoría 5
Con vientos de hasta 280 km/h y lluvias torrenciales. Es el fenómeno meteorológico más intenso en décadas en la isla: NOAA
Publicado Octubre 28, 2025
2025-10-28T18:41:10
2025-10-28T18:00:00
Por La octava
Plan integral de saneamiento para los río Lerma-Santiago, Atoyac y Tula
Desempleo sube ligeramente en septiembre: Inegi
Más del 80% de las escuelas del Edomex sin bebederos de agua
Síguenos también en nuestro Canal de WhatsApp
TEMAS RELACIONADOS: #afectará#ALERTA#Atoyac#categoría5#Edomex#Escuelas#HuracánMelissa#INEGI#JAMAICA#México
TAMBIÉN TE PUEDE INTERESAR